family CERAMBYCIDAE Latreille, 1802
subfamily CERAMBYCINAE Latreille, 1802
tribe Clytini Mulsant, 1839
genus Echinocerus Mulsant, 1862 + Neoplagionotus Kasatkin, 2005
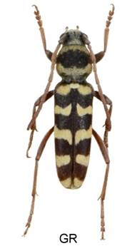
Echinocerus floralis (Pallas, 1773)






Velikost 6-20 mm.
Bionomie. Stepi a lesostepi, neobhospodařované plochy, bývalé pastviny apod. Jeden z mála našich Clytinů, který se nevyvíjí v nadzemních částech dřevin. Znalosti bionomie jsou zatím velmi nedostatečné. Podle Čerepanova (1982) samičky kladou vajíčka do půdy k živným rostlinám. Mladé larvy se do nich zavrtávají, zpočátku žijí pod povrchem, potom pronikají do jádra a pokračují chodbou dolů do kořene. Délka chodby je cca 15 cm. Podle Plavilščikova (1940) jednoletý vývoj. - Imaga se vyskytují v V. - VI. na různých květech, zejména Achilea, Dorycnium, Tithymalus (Euphorbia), Rosa, Apiaceae, Rubus aj.
Živné rostliny - Podle Demelta (1966) byla larva nalezena v Euphorbia gerardiana, podle Plavilščikova (1940) žije ve vojtěšce - Medicago sativa. Domnívám se, že pravděpodobně žije také v Dorycnium, na kterém jsem ho sbíral v Řecku ve velkém počtu společně s Chlorophorus hungaricus.
Variabilita. Žlutá barva pásky na krovkách bývá přerušována, zřídka se rozšiřuje. Častá je variabilita žlutého chloupkování štítu.
Neoplagionotus bobelayei Brullé, 1832

Neoplagionotus scalaris Brullé, 1832
